藝點新聞 A.I.News
  • 首頁
  • VOD隨選
    全部
    電影 兒童 紀實 樂迷DJ網 韓流 4K
  • 頻道
    節目表
    UMG MOVIE 韓國娛樂台 達文西頻道 CMUSIC電影原聲台 CLASSICA古典音樂台 寵物TV (Pet Club Tv) F4K fun探索娛樂台 Trace Sport Stars運動明星 車迷TV wedotv Movies OUTtv
  • 藝點新聞
    全部
    藝術品味 民生 娛樂 電影 旅遊 健康 3C科技 臺南銀髮衣缽相傳計畫 水利防災X污水建設 智慧能源 × 永續城市
  • 更多More
    Sales portal 客服CONTACT 活動EVENT AI應用 人才招募
藝術品味
民生
娛樂
電影
旅遊
健康
3C科技
臺南銀髮衣缽相傳計畫
水利防災X污水建設
智慧能源 × 永續城市
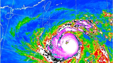
睽違58年!首度於11月將自西南部登陸的鳳凰颱風 專家這樣說
睽違58年!首度於11月將自西南部登陸的鳳凰颱風 專家這樣說
民生 ·
2025/11/12
公車未靠站還打左轉燈!乘客下車撞爆機車 騎士慘摔…到底是誰的錯?
公車未靠站還打左轉燈!乘客下車撞爆機車 騎士慘摔…到底是誰的錯?
民生 ·
2025/11/12
警察、超商店員「聯手阻詐騙」 查緝取簿手及收水等多名犯嫌
警察、超商店員「聯手阻詐騙」 查緝取簿手及收水等多名犯嫌
民生 ·
2025/11/12
颱風沒來已有強風!台北老舊窗戶被吹翻 砸落地面超危險
颱風沒來已有強風!台北老舊窗戶被吹翻 砸落地面超危險
民生 ·
2025/11/09
鳳凰颱風逼近!台電動員4000人整備待命 全力戒備防颱
鳳凰颱風逼近!台電動員4000人整備待命 全力戒備防颱
民生 ·
2025/11/09
鳳凰颱風「大甩尾」轉彎!將登陸台灣 氣象專家:預期強度會減弱
鳳凰颱風「大甩尾」轉彎!將登陸台灣 氣象專家:預期強度會減弱
民生 ·
2025/11/09
3男屋內太吵!遭鄰居報案 警到場一查竟有通緝犯
3男屋內太吵!遭鄰居報案 警到場一查竟有通緝犯
民生 ·
2025/11/08
台電發聲明!核電廠「耐震能力」依核安會要求完成補強
台電發聲明!核電廠「耐震能力」依核安會要求完成補強
民生 ·
2025/11/08
車迷TV《2025 年 Belcar 耐力錦標賽》極速與毅力的傳奇戰役
車迷TV《2025 年 Belcar 耐力錦標賽》極速與毅力的傳奇戰役
民生 ·
2025/11/02
配合「2025臺北白晝之夜」 ! 北捷兩站這天延長營運至凌晨
配合「2025臺北白晝之夜」 ! 北捷兩站這天延長營運至凌晨
民生 ·
2025/10/28
讓愛持續奔騰 沈嶸助建花蓮創世新院
讓愛持續奔騰 沈嶸助建花蓮創世新院
民生 ·
2025/10/28
敬老重陽節!臺北天文館邀長者「免費探索宇宙奧祕」
敬老重陽節!臺北天文館邀長者「免費探索宇宙奧祕」
民生 ·
2025/10/28
假冒財政部釣魚訊息橫行 最常上釣2種詐騙手法曝光
假冒財政部釣魚訊息橫行 最常上釣2種詐騙手法曝光
民生 ·
2025/10/27
南投竹山小貨車「衝入山谷」卡竹林 消防急救援兩人
南投竹山小貨車「衝入山谷」卡竹林 消防急救援兩人
民生 ·
2025/10/27
低溫將破20度!本週「降雨熱區」小心了 雨勢又大又猛
低溫將破20度!本週「降雨熱區」小心了 雨勢又大又猛
民生 ·
2025/10/27
雨神還沒走!北東雨仍多 其他地區多雲時晴
雨神還沒走!北東雨仍多 其他地區多雲時晴
民生 ·
2025/10/25
黑琵、獨角仙集結!台電2026生態月曆限量開賣中
黑琵、獨角仙集結!台電2026生態月曆限量開賣中
民生 ·
2025/10/24
短短10日!詐團冒充一卡通iPASS MONEY詐172件 獲利近900萬
短短10日!詐團冒充一卡通iPASS MONEY詐172件 獲利近900萬
民生 ·
2025/10/24
婦人險遭假公務員詐騙 警即時識破成功攔阻
婦人險遭假公務員詐騙 警即時識破成功攔阻
民生 ·
2025/10/23
非洲豬瘟「可怕不是生病」 名醫:恐毀掉整個產業
非洲豬瘟「可怕不是生病」 名醫:恐毀掉整個產業
民生 ·
2025/10/23
台南都發局從心出發 陪伴災後修繕:把「可以做」變成「做得到」
台南都發局從心出發 陪伴災後修繕:把「可以做」變成「做得到」
民生 ·
2025/10/22
「鏟子超人」功臣身退…驚覺水溝蓋不翼而飛! 他說重話:最重處無期徒刑
「鏟子超人」功臣身退…驚覺水溝蓋不翼而飛! 他說重話:最重處無期徒刑
民生 ·
2025/10/20
燕子口堰塞湖溢流出靳珩隧道後回流立霧溪 花蓮分署評估:風險趨緩
燕子口堰塞湖溢流出靳珩隧道後回流立霧溪 花蓮分署評估:風險趨緩
民生 ·
2025/10/18
車迷TV直擊極速封王之戰!《GT世界挑戰賽:巴塞隆納站》10月19日熱血開跑
車迷TV直擊極速封王之戰!《GT世界挑戰賽:巴塞隆納站》10月19日熱血開跑
民生 ·
2025/10/18
  • «
  • 1
  • 2
  • 3
  • 4
  • 5
  • »

藝點新聞 A.I.News

copyright©2020-2024 友量娛樂股份有限公司 All Rights Reserved